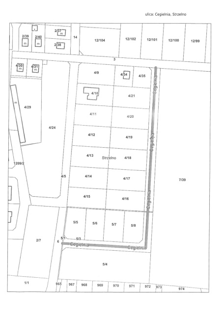
Projekt uchwały został przygotowany na podstawie przepisów ustawy o samorządzie gminnym oraz ustawy o drogach publicznych. Zakłada on nadanie nazwy „ulica Cegielnia” drodze wewnętrznej stanowiącej własność Gminy Strzelno, zlokalizowanej w Strzelnie i oznaczonej w ewidencji gruntów jako działki nr 4/7 oraz 4/27.
Zgodnie z treścią projektu, przebieg ulicy został określony w załączniku graficznym do uchwały. W przypadku jej podjęcia, wykonanie uchwały zostanie powierzone Burmistrzowi Strzelna.
Projekt przewiduje, że uchwała wejdzie w życie po upływie 14 dni od dnia ogłoszenia w Dzienniku Urzędowym Województwa Kujawsko-Pomorskiego. Dokument został przedłożony Radzie Miejskiej w Strzelnie i będzie rozpatrywany w ramach porządku obrad sesji.

[ZT]13107[/ZT]
Brak komentarza, Twój może być pierwszy.
Dodaj komentarz
Użytkowniku, pamiętaj, że w Internecie nie jesteś anonimowy. Ponosisz odpowiedzialność za treści zamieszczane na portalu terazstrzelno.pl. Dodanie opinii jest równoznaczne z akceptacją Regulaminu portalu. Jeśli zauważyłeś, że któraś opinia łamie prawo lub dobry obyczaj - powiadom nas lub użyj przycisku Zgłoś komentarz